في إطار توجيهات السيد اللواء أ.ح/ الحسين فرحات "المدير التنفيذي لجهاز حماية وتنمية البحيرات والثروة السمكية"، يواصل الجهاز أعمال استكمال موسم الصيد بمحطة تحضين الخاشعة السمكي، وذلك ضمن خطة الجهاز الهادفة إلى تعظيم الاستفادة من محطات التحضين والمفرخات السمكية ورفع كفاءتها الإنتاجية، ودعم منظومة تنمية الثروة السمكية.
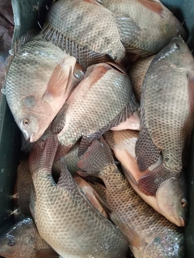
وأسفرت أعمال الصيد عن تحقيق إنتاج يُقدّر بنحو ١١ طنًا تقريبًا من الأسماك المتنوعة، تم صيدها من حوضين سمكيين تبلغ مساحتهما الإجمالية حوالي ٢.٥ فدان، وهو ما يعكس كفاءة التشغيل وحُسن الإدارة الفنية داخل محطة تحضين الخاشعة، والالتزام بالبرامج الفنية المعتمدة.

وأكد السيد اللواء أ.ح/ الحسين فرحات أن المفرخات السمكية تمثل أحد المحاور الأساسية في استراتيجية الجهاز لزيادة الإنتاج السمكي وتحقيق الأمن الغذائي، موضحًا أن الجهاز يواصل جهوده لتطوير المفرخات ورفع كفاءتها من خلال المتابعة الميدانية المستمرة، وتطبيق أساليب التشغيل الحديثة، والاعتماد على البرامج العلمية في مراحل الإنتاج المختلفة.
كما أضاف سيادة اللواء ،أن النتائج المتحققة بمحطة تحضين الخاشعة تعكس كفاءة الكوادر الفنية وحُسن استغلال الموارد المتاحة، مؤكداً على أهمية الإستمرار في العمل بروح الفريق الواحد لتحقيق المستهدفين الإنتاجية و دعم الأمن الغذائي.

وفي هذا السياق، أوضح المهندس فخري عياد ـ مدير عام الإدارة العامة للمفرخات بالجهاز، أن الاستعداد لموسم الصيد تم وفق خطة فنية متكاملة شملت المتابعة اليومية للأحواض السمكية، وتنفيذ برامج التغذية والرعاية الصحية للأسماك، بما ساهم في تحقيق إنتاج جيد وجودة مناسبة، مع الالتزام بكافة إجراءات الأمن والسلامة أثناء أعمال الصيد.
وأشار المهندس نادر عيد ـ مدير محطة تحضين الخاشعة، إلى أن أعمال الصيد والفرز تمت بانضباط وتنظيم، بما يضمن الحفاظ على جودة المنتج النهائي، وتحقيق أقصى استفادة ممكنة من الأحواض السمكية.
واختُتمت أعمال الصيد بتوجيه الشكر والتقدير لكافة العاملين بمحطة تحضين الخاشعة والقائمين على أعمال الصيد والفرز، تقديرًا لجهودهم والتزامهم، مع التأكيد على استمرار المتابعة الفنية خلال الفترة المقبلة، واستكمال خطة الجهاز لتحقيق المستهدفات الإنتاجية ودعم قطاع الثروة السمكية.

شهدت فعاليات الصيد حضور كل من:
م. فخري عياد – مدير عام الإدارة العامة للمفرخات بالجهاز
م. عيد قنديل – منطقة كفر الشيخ
م. نادر عيد – مدير محطة تحضين الخاشعة
م. سمير عبد العظيم– مسؤول الإنتاج بمحطة تحضين الخاشعة
م. يوسف – الإدارة العامة للمفرخات بالجهاز
أ. محمد فؤاد – مسؤول الأمن بالجهاز
أ. عصام محمد – مسؤول الأمن بالجهاز
إعداد و تحرير:
أ/ نورهان كيره "المسؤول الإعلامي بالإدارة العامة للعلاقات العامة للعلاقات"
#جهاز_حماية_و_تنمية__البحيرات_و_الثروة_السمكية
#التنمية_المستدامة
#الثروة_السمكية
#الخاشعة